We use cookies and other technologies for functionality, security, and to provide you with a personalized experience on our online services. By continuing to use our online services, you agree to our Privacy Policy and Terms of Use. For information on how to adjust your privacy settings, visit our Cookie Policy.
Dismiss
Home NB Greater Saint John Quispamsis
355 Hampton Road
Directions Print
355 Hampton Road $329,000
1 day ago
$329,000
Hide
Favourite

355 Hampton Road
Quispamsis, New Brunswick E2E4W1

MLS® Number: NB133031
2
Bedrooms
1
Bathrooms
1525
Square Feet

Listing Description

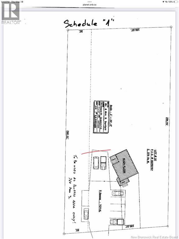
Prime location for that business idea or a future multi unit. Currently zoned Neighbourhood Commercial, the options to live where you work or generate investment income is all on the table. With 130 ft road frontage, over 10 parking spaces and centrally located in Quispamsis, lets make this summer the year you make that move Propery includes 2 lots in one. 2 bedroom apartment upstairs currently has a tenant $800 heat and lights incl (this can be separated) and lower unit is vacant with recent updates so is move in ready. Seacans and outbuilding not included in sale. All measurements to be confirmed by buyer. Town of Quispamsis must confirm business usage meets zoning. Offers are reviewed on a one to one basis. 24 hr notice to view apartment. 48hr irrevocable required. Proof of financial capability and Schedule A to accompany all offers. (29450713)

Location Description

Take Gondola Point ferry exit to Hampton Rd. Just a little past the KVHS on the right.

Property Summary

Property Type
Single Family
Building Type
Multi-Family
Square Footage
1525 sqft
Title
Freehold
Land Size
33650 sqft
Annual Property Taxes
$7,610
Time on REALTOR.ca
1 day

Price and Sale History

Date Status Price
Jul 19, 2004 Sale Closed $73,900

Building

Bedrooms
Above Grade
2
Bathrooms
Total
1
Partial
0
Interior Features
Flooring
Laminate
Building Features
Foundation Type
Block
Style
Up and down
Architecture Style
2 Level
Rental Equipment
Water Heater
Heating & Cooling
Cooling
Air Conditioned
Heating Type
Baseboard heaters
Utilities
Utility Sewer
Municipal sewage system
Water
Well
Exterior Features
Exterior Finish
Vinyl

Measurements

Square Footage
1525 sqft
Above Grade Finished
600 sqft
Total Finished Area
1525 sqft

Rooms

MetricImperial
Second level
Bedroom
Bedroom
Living room
Foyer
Kitchen
3pc Bathroom

Land

Other Property Information
Zoning Description
NC
Data provided by: New Brunswick REALTORS®
Are you interested in touring this listing?
Request a showing

Similar Listings

Liane Daigle