We use cookies and other technologies for functionality, security, and to provide you with a personalized experience on our online services. By continuing to use our online services, you agree to our Privacy Policy and Terms of Use. For information on how to adjust your privacy settings, visit our Cookie Policy.
Dismiss
Home QC Matawinie Rawdon
Rue Dolores
Directions Print
Rue Dolores $35,000 + GST + QST
4 days ago
$35,000 + GST + QST
Hide
Favourite

Rue Dolores
Rawdon, Quebec J0K1S0

MLS® Number: 24563907

Listing Description

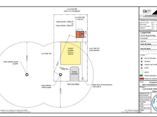
Facile à bâtir. - Hydro. - Location court terme permise. - Déboisement inclus. - Étude de sol incluse. - Terrain borné. - À proximité de tous les services et attraits de la ville. Les coûts reliés à l'obtention du permis sera aux frais des ACHETEURS. GST/QST must be added to the asking price (53873668)

Property Summary

Property Type
Vacant Land
Land Size
465.7 m2
Time on REALTOR.ca
4 days

Building

Building Features
Features
Flat site
Utilities
Utility Sewer
No sewage system

Land

Other Property Information
Zoning Type
Residential
Farm Features
Farm Type
Other
Are you interested in touring this listing?
Request a showing

Similar Listings

Shawn Barrette