We use cookies and other technologies for functionality, security, and to provide you with a personalized experience on our online services. By continuing to use our online services, you agree to our Privacy Policy and Terms of Use. For information on how to adjust your privacy settings, visit our Cookie Policy.
Dismiss
Home MB Greater Winnipeg Winnipeg Wilkes South
9 community Row
Directions Print
9 community Row $299,500
4 days ago
$299,500
Hide
Favourite

9 community Row
Winnipeg, Manitoba X0X0X0

MLS® Number: 202601780
0
Bathrooms
-
Square Feet

Listing Description

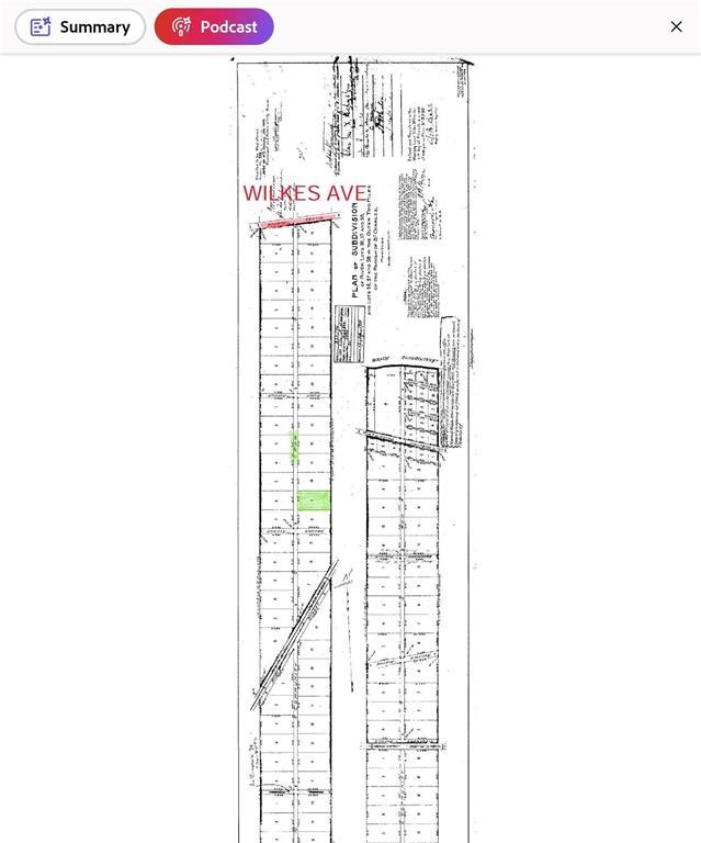
1N//Winnipeg/Excellent land opportunity with strong future upside inside the city of Winnipeg. This 4-acre vacant parcel is strategically located just south of Wilkes Ave, between McGillivray and Wilkes. Close proximity to IKEA, the Outlet Collection Winnipeg, and major retail corridors enhances long-term value. Ideal for investors looking to secure acreage in an expanding area. Lot is not currently serviced. Buyers to perform their own due diligence. (231907370)

Property Summary

Property Type
Vacant Land
Building Type
No Building
Community Name
South Charleswood
Neighbourhood Name
South Charleswood
Title
Freehold
Land Size
4 ac|2 - 4.99 acres
Annual Property Taxes
$140
Time on REALTOR.ca
4 days

Building

Bathrooms
Total
0
Partial
0
Building Features
Architecture Style
Other

Land

Lot Features
Frontage
310 ft
Land Depth
565 ft
Are you interested in touring this listing?
Request a showing

204-898-6844
204-888-3331

Similar Listings

Kamaljeet Sidhu