We use cookies and other technologies for functionality, security, and to provide you with a personalized experience on our online services. By continuing to use our online services, you agree to our Privacy Policy and Terms of Use. For information on how to adjust your privacy settings, visit our Cookie Policy.
Dismiss
Home ON St. Catharines - Niagara Niagara Falls Beaverdams
BLOCK 50 ANGIE DRIVE
Directions Print
BLOCK 50 ANGIE DRIVE $1
5 days ago
$1
Hide
Favourite

BLOCK 50 ANGIE DRIVE
Niagara Falls (Forestview), Ontario L2H3W8

MLS® Number: X12740616

Listing Description

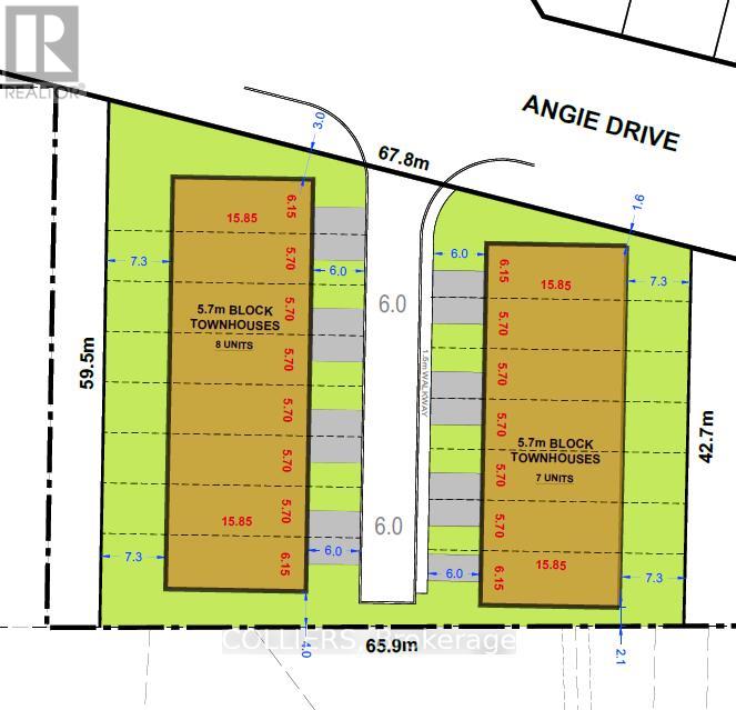
Exceptional townhouse development opportunity within the Garner Place Subdivision in Niagara Falls. Block 50 offers a rare chance to acquire a planned low-rise residential site with defined density and an efficient site configuration, ideally suited for neart-term development. The site plan contemplates 15 townhouse units across two residential blocks, providing immediate scale and flexibility for developers and investors pursuing build-to-sell or build-to-rent strategies. The layout maximizes frontage along Angie Drive and supports efficient unit design, construction phasing, and strong unit economics. (42044511)

Location Description

Garner Rd/Angie Dr

Property Summary

Property Type
Vacant Land
Community Name
219 - Forestview
Land Size
0.839 ac
Annual Property Taxes
$6,206.41
Time on REALTOR.ca
5 days

Building

Business
Business Type
Residential (Residential)

Measurements

Square Footage
1 ac

Land

Lot Features
Frontage
223 ft
Other Property Information
Zoning Description
R4
Are you interested in touring this listing?
Request a showing

Similar Listings

JOSH HARRIS