We use cookies and other technologies for functionality, security, and to provide you with a personalized experience on our online services. By continuing to use our online services, you agree to our Privacy Policy and Terms of Use. For information on how to adjust your privacy settings, visit our Cookie Policy.
Dismiss
Home BC Roberts Creek
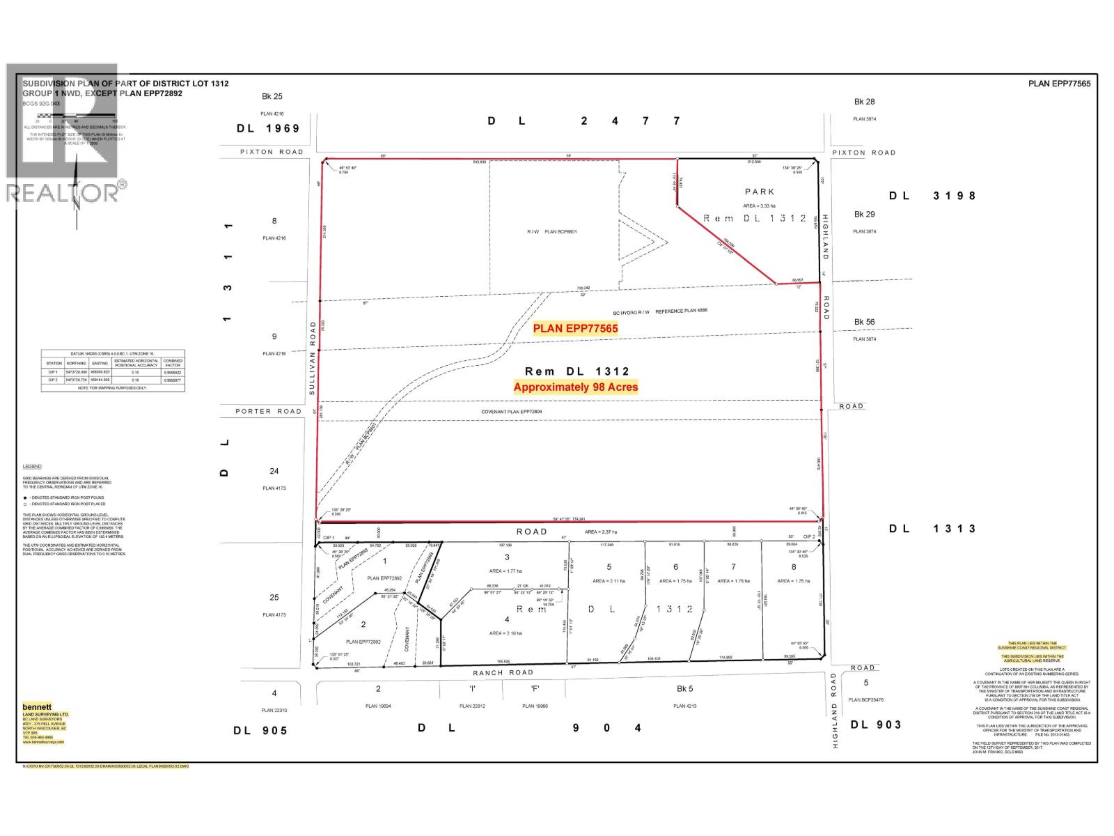
DL 1312 SULLIVAN ROAD
Directions Print
DL 1312 SULLIVAN ROAD $2,799,000
$2,799,000
Hide
Favourite

DL 1312 SULLIVAN ROAD
Roberts Creek, British Columbia V0N1V7

MLS® Number: R3083703

Listing Description

Approximately 98 ACRES. The Perfect Estate Home Location. This Property has it all, Panoramic South Facing Ocean Views, Heavily Treed with some cleared areas, Park-like walking trails, paved road access & hydro, close to Schools & Shopping. 4 lovely Creeks. Ideal ground for Horse lovers. 2560' of South Facing frontage on Harman Road, & 1850' of gently uphill sloping land to the Crown Forest. This is truly a legacy property only 10 minutes away from the Langdale Ferry Terminal in Roberts Creek. Eight proven high volume wells on the South side of Harman Road. (32378327)

Property Summary

Property Type
Vacant Land
Title
Freehold
Land Size
98 ac
Annual Property Taxes
$6,492.33
Time on REALTOR.ca
8 days

Building

Building Features
Features
Central location, Cul-de-sac, Private setting, Treed
Neighbourhood Features
Amenities Nearby
Golf Course

Land

Lot Features
Frontage
2560 ft
View
View
Data provided by: Greater Vancouver REALTORS®
Are you interested in touring this listing?
Request a showing

Similar Listings

Jon McRae