We use cookies and other technologies for functionality, security, and to provide you with a personalized experience on our online services. By continuing to use our online services, you agree to our Privacy Policy and Terms of Use. For information on how to adjust your privacy settings, visit our Cookie Policy.
Dismiss
Home ON Greater London Middlesex County Middlesex Centre
23819 COLDSTREAM ROAD
Directions Print
23819 COLDSTREAM ROAD $949,000
$949,000
Hide
Favourite

23819 COLDSTREAM ROAD
Middlesex Centre, Ontario N0M2A0

MLS® Number: X12725712

Listing Description

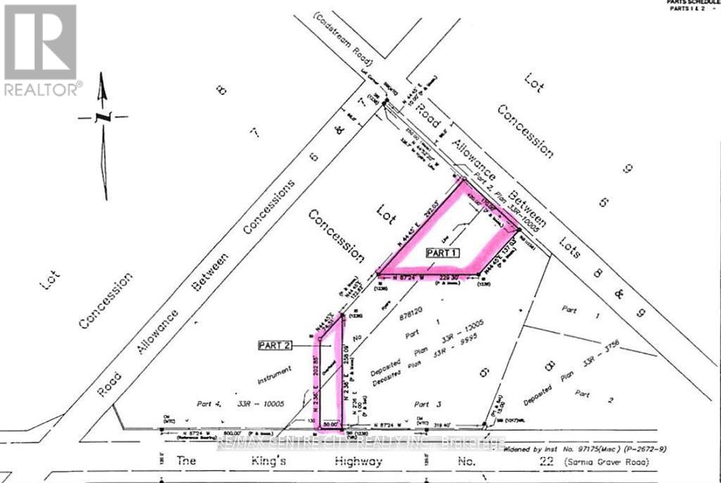
Located on the south side of Coldstream Road just off of Egremont Drive. Excellent opportunity to purchase an industrial lot. Approximately one acre of vacant land zoned industrial CM2. Sale of the property is subject to a severance from the balance of the Seller's property at 23819 Coldstream Road. Severance will take approximately 90 days and will be completed by the Seller at its expense. (42011026)

Location Description

Cross Streets: Egremont Drive. ** Directions: Located just off of Egremont Drive on the west side of Coldstream Road.

Property Summary

Property Type
Vacant Land
Community Name
Rural Middlesex Centre
Land Size
0.96 ac
Annual Property Taxes
$0
Time on REALTOR.ca
11 days

Building

Business
Business Type
Industrial (Industrial)

Measurements

Square Footage
1 ac

Land

Lot Features
Frontage
170 ft
Land Depth
282 ft
Other Property Information
Zoning Description
CM2
Are you interested in touring this listing?
Request a showing

Similar Listings

MEL VETERO