We use cookies and other technologies for functionality, security, and to provide you with a personalized experience on our online services. By continuing to use our online services, you agree to our Privacy Policy and Terms of Use. For information on how to adjust your privacy settings, visit our Cookie Policy.
Dismiss
Home ON Dufferin Dufferin County Melancthon
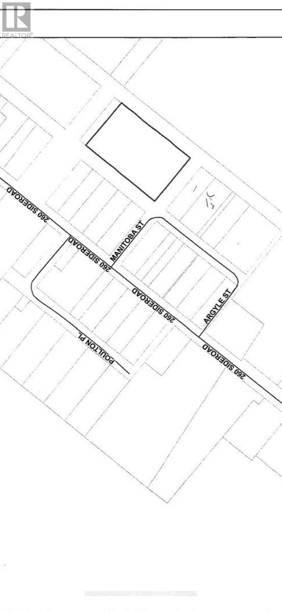
LOT 72-81 PLAN 20A
Directions Print
LOT 72-81 PLAN 20A $959,000
$959,000
Hide
Favourite

LOT 72-81 PLAN 20A
Melancthon, Ontario L9V1S1

MLS® Number: X12723924

Listing Description

Any reasonable offer will be considered ! 2.6 acre vacant lot - 10 separate pins - each lot could be sold individually -Reg'd Plan20A - see attachments for more info. Court Ordered Sale * Not a power of Sale, located 10 mins north of Shelburne. there are no approvals in place the price is negotiable, this is a court ordered sale and MUST be sold asap Try your offer _ great opportunity to get a great deal - Also great place to build multi generation homes on one property. (42007352)

Location Description

Dufferin St

Property Summary

Property Type
Vacant Land
Community Name
Rural Melancthon
Land Size
2.461 ac
Annual Property Taxes
$1
Time on REALTOR.ca
11 days

Measurements

Square Footage
2 ac

Land

Other Property Information
Zoning Description
Residential/Commercial
Are you interested in touring this listing?
Request a showing

Similar Listings

PAUL SINGH TARRIWAL