We use cookies and other technologies for functionality, security, and to provide you with a personalized experience on our online services. By continuing to use our online services, you agree to our Privacy Policy and Terms of Use. For information on how to adjust your privacy settings, visit our Cookie Policy.
Dismiss
Home ON Greater Hamilton Hamilton Stoney Creek Fifty Point
451 MONTREAL CIRCLE
Directions Print
451 MONTREAL CIRCLE $639,000
5 days ago
$639,000
Hide
Favourite

451 MONTREAL CIRCLE
Hamilton (Winona Park), Ontario L8E0E2

MLS® Number: X12609484
0
Bathrooms
-
Square Feet

Listing Description

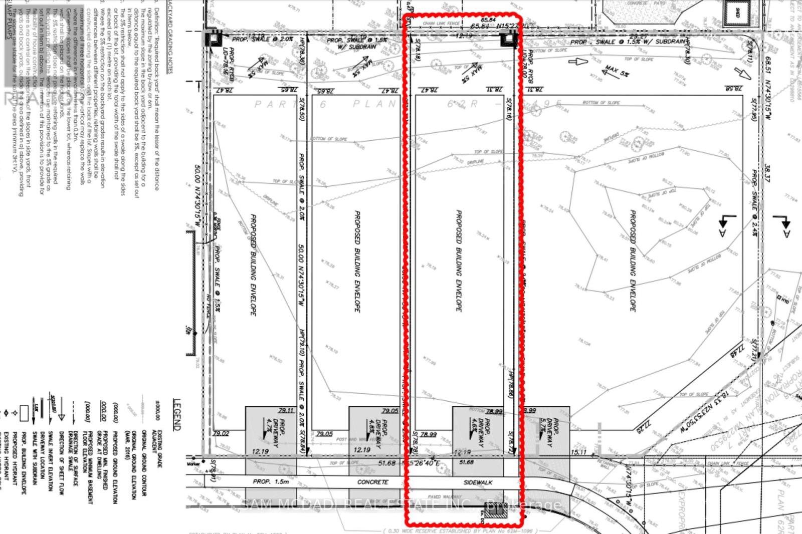
Premium 40x165 ft Building Lot in Highly Desired Waterfront Winona Park Community in Lower Stoney Creek Ready for Your Design & Build!! Encircled by other Gorgeous Homes in the Neighbourhood & Other Custom-Built Properties this Lot Offers Endless Options from Bungalow/Bungalow Loft & 2 Storey Designs with ADU Options + The Great Depth Allows Opportunity to Create a Backyard Oasis with Pool Sized Lot, 3+ Car Garage Parking Design, Legal Basement Apartment/Multi Family Dwelling Option & More. Various Possibilities. All Municipal Services at Lot Line & Shovel Ready!! Great Investment for the Builder/Investor or for the End User Looking to build their dream home in a fantastic location. All In Prime Lake Side Community W/ Great Schools, Quick QEW & Major Highway Access, Large Shopping Centres, Local Shops, Marina's, Parks, Trails, Local Farms/Vineyards, New Confederation GO Station, 15 Mins to Downtown Burlington & Centrally Located Between Toronto & the Niagara Region. Great Opportunity + Potential Option for project management service available for your build if needed to make it a turnkey solution! (41780413)

Location Description

Cross Streets: FIFTY RD/KINGSTON RD. ** Directions: FIFTY RD/KINGSTON RD/MONTREAL CIR.

Property Summary

Property Type
Vacant Land
Community Name
Winona Park
Land Size
40 x 164 FT|under 1/2 acre
Annual Property Taxes
$1,250
Time on REALTOR.ca
5 days

Building

Bathrooms
Total
0
Utilities
Utility Type
Cable (Installed), Electricity (Installed), Sewer (Installed)
Utility Sewer
Sanitary sewer
Water
Municipal water
Neighbourhood Features
Community Features
School Bus
Amenities Nearby
Beach, Marina, Park, Schools

Land

Lot Features
Fencing
Fenced yard
Frontage
40 ft
Land Depth
164 ft
View
Lake view
Other Property Information
Zoning Description
R2-65, R3-43
Waterfront Features
Waterfront Name
Lake Ontario
Are you interested in touring this listing?
Request a showing

Similar Listings

SAM ALLAN MCDADI