We use cookies and other technologies for functionality, security, and to provide you with a personalized experience on our online services. By continuing to use our online services, you agree to our Privacy Policy and Terms of Use. For information on how to adjust your privacy settings, visit our Cookie Policy.
Dismiss
Home NS Greater Halifax Halifax County Halifax Lake Echo
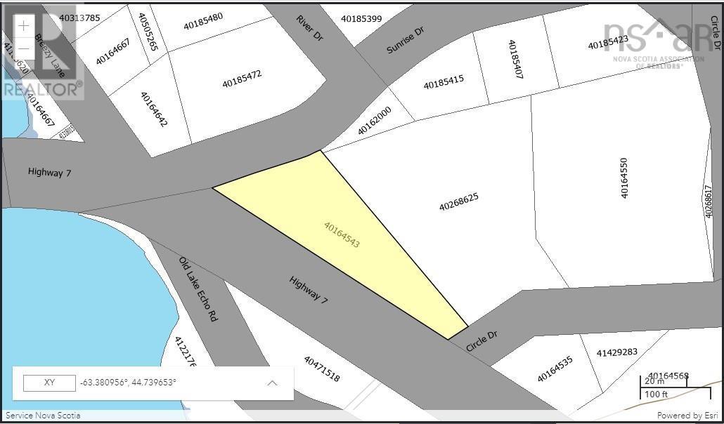
Lot 7 Highway 7
Directions Print
Lot 7 Highway 7 $149,900
Conditionally Sold
$149,900
Hide
Favourite

Lot 7 Highway 7
Lake Echo, Nova Scotia B3E1C8

MLS® Number: 202525096

Listing Description

This property offers just under 30,000 sq. ft. of prime commercial land in Lake Echo, minutes from Porters Lake, Zoned C1, it allows a wide range of uses including residential (single-unit, two-unit, or combined residential/commercial), retail, service shops, home businesses, community uses, storage, and more. It also supports industrial and service options such as vehicle repair, body shops, trucking, excavation, landscaping, and paving services. With large highway frontage, excellent visibility, and lake views, this lot is well priced and priced to sell, a perfect opportunity for investors, developers, or business owners looking for maximum exposure and endless potential. (231474766)

Location Description

On Hwy 7 between Circle Drive and Sunrise Drive

Property Summary

Property Type
Vacant Land
Community Name
Lake Echo
Title
Freehold
Land Size
0.6866 ac
Parking Type
None
Time on REALTOR.ca
124 days

Building

Building Features
Features
Treed
Utilities
Utility Sewer
No sewage system
Water
None
Parking
Parking Type
None
Are you interested in touring this listing?
Request a showing

902-333-9990

Similar Listings

Mario Baini