We use cookies and other technologies for functionality, security, and to provide you with a personalized experience on our online services. By continuing to use our online services, you agree to our Privacy Policy and Terms of Use. For information on how to adjust your privacy settings, visit our Cookie Policy.
Dismiss
Home ON Grey County Southgate
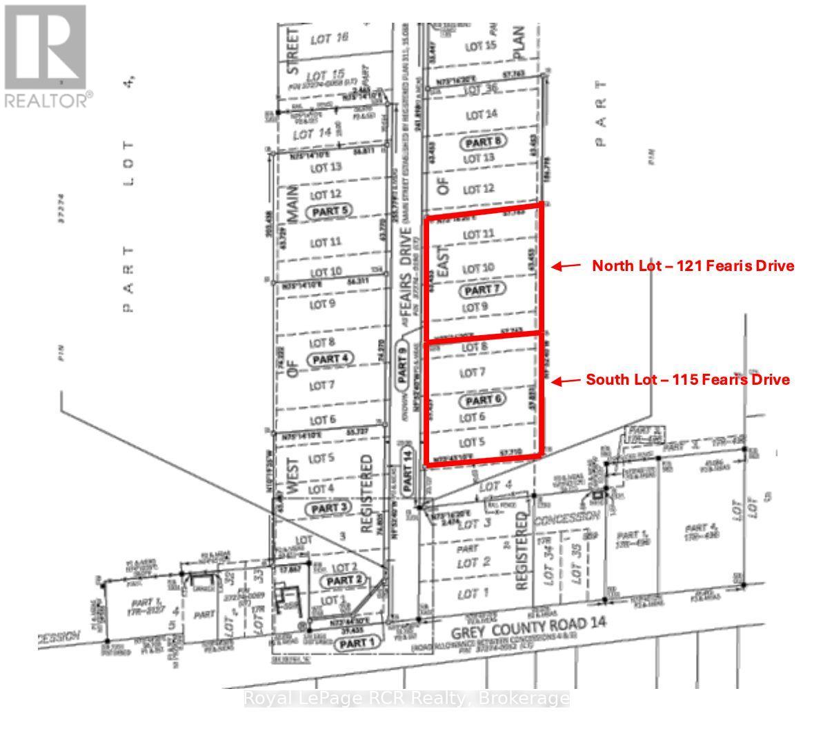
121 FEAIRS DRIVE
Directions Print
More Photos + 1
121 FEAIRS DRIVE $265,000
$265,000
Hide
Favourite

121 FEAIRS DRIVE
Southgate, Ontario N0G1N0

MLS® Number: X12423319
0
Bathrooms
-
Square Feet

Listing Description

Build your dream home on this nearly 1-acre, build-ready country lot, located on a quiet cul-de-sac just 100 metres off Grey Road 14, a well-maintained County road with excellent year-round accessibility. This property offers the perfect balance of rural privacy and modern convenience, with less than five minutes to Highway 89, ten minutes to Mount Forest, and twenty minutes to Shelburne. Building and septic permits have already been approved for a pre-approved spec build (development fees not paid) or building permits can be obtained allowing you to move forward immediately with a custom home. The lot features natural elevation for ideal drainage, ample topsoil, and excellent potential for groundwater access, with an estimated well depth of only 100 feet. Soil sampling has been complete and a road entrance has already been installed. The parcel backs onto open agricultural land, ensuring permanent privacy with no rear neighbours. Zoned to allow a primary dwelling plus accessory buildings such as a garage, workshop, or shed, this lot offers space and flexibility to create the rural lifestyle you've been dreaming of. A reputable local builder is available to assist with permits and construction, making your building process that much easier. Don't miss this rare opportunity to own a prime piece of country land that's ready to go. (41328759)

Location Description

Cross Streets: Grey Rd 14 & Feairs Drive. ** Directions: From Highway 89, Head North on Grey Rd 14. Turn Left on Feairs Drive in Cedarville, Property on will be on the Right hand side.

Property Summary

Property Type
Vacant Land
Community Name
Southgate
Land Size
63.453 x 75.763 M|1/2 - 1.99 acres
Annual Property Taxes
$0
Time on REALTOR.ca
82 days

Building

Bathrooms
Total
0
Utilities
Utility Type
Electricity (Available), Sewer (Available)

Land

Lot Features
Frontage
63.453 m
Land Depth
75.763 m
Other Property Information
Zoning Description
R5
Are you interested in touring this listing?
Request a showing

Similar Listings

KYLE DALLAIRE