We use cookies and other technologies for functionality, security, and to provide you with a personalized experience on our online services. By continuing to use our online services, you agree to our Privacy Policy and Terms of Use. For information on how to adjust your privacy settings, visit our Cookie Policy.
Dismiss
Home ON Woodstock Oxford County
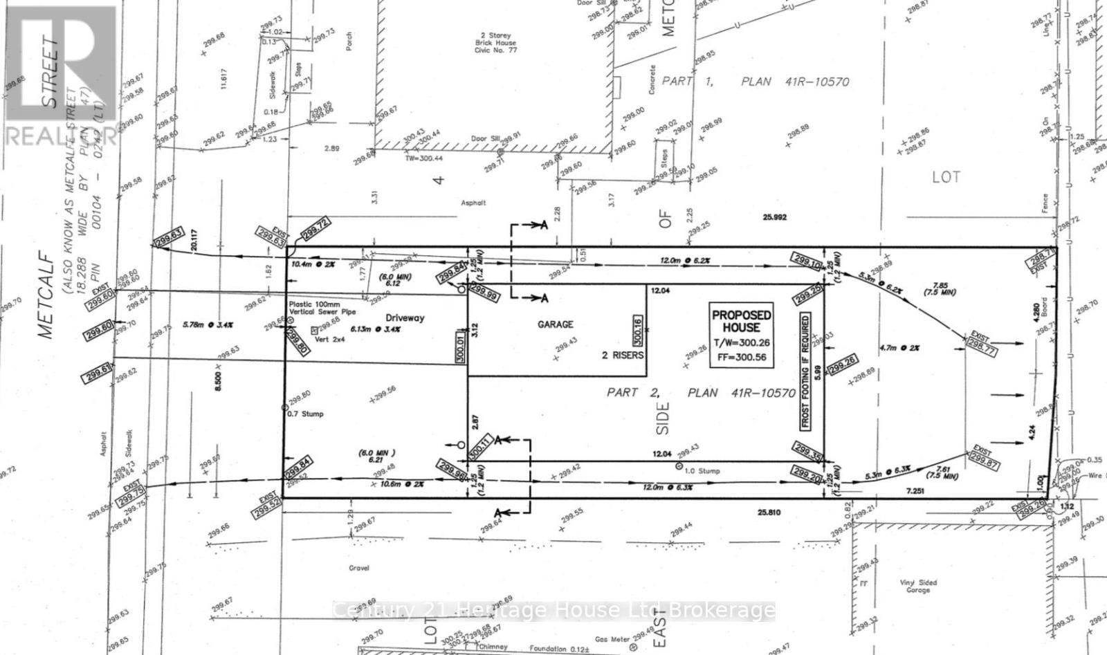
77 METCALF STREET
Directions Print
77 METCALF STREET $179,900
$179,900
Hide
Favourite

77 METCALF STREET
Woodstock (Woodstock - South), Ontario N4S3E9

MLS® Number: X12419662
0
Bathrooms
-
Square Feet

Listing Description

Affordable vacant lot available in the heart of Woodstock. Close to all amenities. Plans ready for a detached 3 bedroom home. Sewer on lot line. Water will be brought to lot line by seller. (41321615)

Location Description

Cross Streets: Metcalf st and Main st. ** Directions: From Main Street, Turn North onto Metcalf. Home will be on the right.

Property Summary

Property Type
Vacant Land
Community Name
Woodstock - South
Land Size
27.89 x 84.68 FT|under 1/2 acre
Annual Property Taxes
$627.63
Time on REALTOR.ca
82 days

Building

Bathrooms
Total
0
Utilities
Utility Type
Cable (Available), Electricity (Available), Sewer (Available)
Utility Sewer
Sanitary sewer
Water
Municipal water

Land

Lot Features
Frontage
27 ft ,10 in
Land Depth
84 ft ,8 in
Data provided by: Woodstock Ingersoll Tillsonburg and Area Association of REALTORS® (WITAAR)
Are you interested in touring this listing?
Request a showing

Similar Listings

Ali Zulfiqar