We use cookies and other technologies for functionality, security, and to provide you with a personalized experience on our online services. By continuing to use our online services, you agree to our Privacy Policy and Terms of Use. For information on how to adjust your privacy settings, visit our Cookie Policy.
Dismiss
Home QC Les Laurentides Amherst
Ch. de Rockway Valley
Directions Print
Ch. de Rockway Valley $155,000
$155,000
Hide
Favourite

Ch. de Rockway Valley
Amherst, Quebec J0T2L0

MLS® Number: 28201735

Listing Description

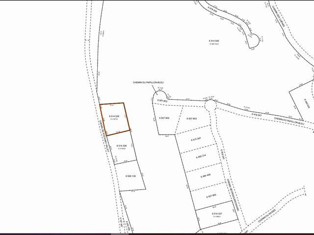
Terrain boisé de 4770 m2 portant actuellement le numéro 703 du secteur Explorateur du Domaine Kanata ayant un droit acquis permettant la location de courte durée. Accès aux plages du Lac de la Mine et du Lac Iroquois (56671784)

Property Summary

Property Type
Vacant Land
Land Size
4470 m2
Time on REALTOR.ca
189 days

Building

Utilities
Utility Sewer
No sewage system

Land

Lot Features
Frontage
81.68 m
Other Property Information
Zoning Type
Mixed
Farm Features
Farm Type
Other
Waterfront Features
Waterfront Name
Lac de la Mine
Are you interested in touring this listing?
Request a showing

Similar Listings

Samia Ouertani