We use cookies and other technologies for functionality, security, and to provide you with a personalized experience on our online services. By continuing to use our online services, you agree to our Privacy Policy and Terms of Use. For information on how to adjust your privacy settings, visit our Cookie Policy.
Dismiss
Home AB Greater Calgary Division No. 6 Rocky View County
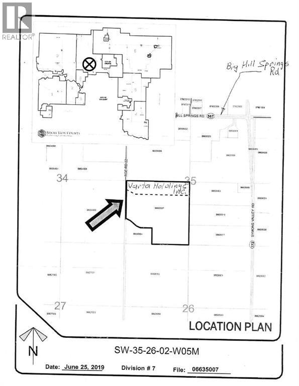
RR292 Symon's Valley Road
Directions Print
RR292 Symon's Valley Road $890,000
$890,000
Hide
Favourite

RR292 Symon's Valley Road
Rural Rocky View County, Alberta T0M0S0

MLS® Number: A2224312

Listing Description

33 Acres suitable for building your dream home. Mountain View from the property. Electricity located at approach to property. Land is presently leased out. Listing offers sale of the Corporation, land is in Corporation Name, just need to change directors, but can be purchased without corporation. Rezoning needs to be done through the municipality of Rockyview. (30592983)

Property Summary

Property Type
Vacant Land
Title
Freehold
Land Size
33.01 ac|10 - 49 acres
Age Of Building
Age is unknown
Annual Property Taxes
$66
Time on REALTOR.ca
209 days

Building

Utilities
Water
Well

Land

Lot Features
Fencing
Fence
Other Property Information
Zoning Description
R-Rur/A-SmL
Data provided by: Pillar 9™
Are you interested in touring this listing?
Request a showing

Similar Listings

Flo Volcko