We use cookies and other technologies for functionality, security, and to provide you with a personalized experience on our online services. By continuing to use our online services, you agree to our Privacy Policy and Terms of Use. For information on how to adjust your privacy settings, visit our Cookie Policy.
Dismiss
Home AB Division No. 6 Carstairs
1445 Scarlett Ranch Boulevard
Directions Print
1445 Scarlett Ranch Boulevard $4,200,000
$4,200,000
Hide
Favourite

1445 Scarlett Ranch Boulevard
Carstairs, Alberta T0M0N0

MLS® Number: A2198926

Listing Description

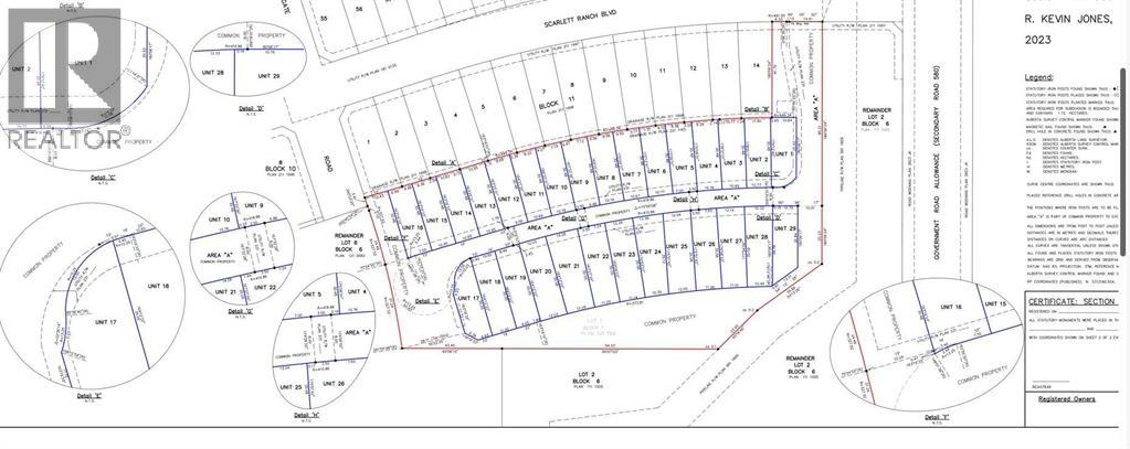
Serviced, ready to build lots available in Carstairs, total 27, smaller batch purchase available, some with plans and have commenced constructions. 27 lots available, minimum purchase 13 lots. Average $100k per lot (half duplex lot). Condo building in this zone only. Also undeveloped land available 20-60 acres, priced to sell.Land is within the townsite of Carstairs. Great existing community, with Schools. Sports grounds nearby. For developers and builders thatis ready to built. New houses are already built across the street. Excellent opportunity given the proximity to HWY 2 and Calgary. 25 minutes to Airdrie, 39 minutes to Calgary (54km). Total 60 acres available. Seller is motivated. (30175082)

Property Summary

Property Type
Vacant Land
Title
Freehold
Land Size
22 ac|10 - 49 acres
Age Of Building
Age is unknown
Annual Property Taxes
$450
Time on REALTOR.ca
338 days

Land

Lot Features
Fencing
Not fenced
Other Property Information
Zoning Description
R1
Data provided by: Pillar 9™
Are you interested in touring this listing?
Request a showing

Similar Listings

Ed Kwan