Nous utilisons des témoins et d’autres technologies pour assurer le fonctionnement et la sécurité de nos services en ligne, et pour vous offrir une expérience personnalisée. En continuant à utiliser nos services en ligne, vous acceptez notre Politique de confidentialité et les conditions d’utilisation. Pour obtenir des informations sur la façon de régler vos paramètres de confidentialité, veuillez consulter notre Politique sur les témoins.
Masquer
Accueil QC Le Haut-Richelieu Lacolle
Rue Dawson
Directions Imprimer
Rue Dawson 120 000 $
Depuis 17 heures
120 000 $
Masquer
Favoris

Rue Dawson
Lacolle, Québec J0J1J0

Numéro MLS® : 13503576

Description de l’inscription

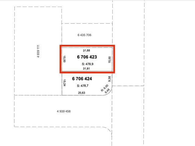
Bienvenue au terrain vacant rue Dawson, Lacolle ! SECTEUR DE CHOIX - 5 155 PI2 - AQUEDUC + ÉGOUT DÉJÀ SUR LE TERRAIN.Terrain de 5 155 pc situé au coeur du village de Lacolle.Plusieurs nouvelles constructions sur cette rue sans issue (tranquillité assurée).Situé à +/- 25 min de St-Jean et +/- 45 min de Mtl.Le zonage permet la construction d'une propriété UNIFAMILIALE seulement.Un des seuls terrains disponible et prêt à construire avec infrastructures déjà en place (valeur de +/- 15 000$).Idéal pour auto construction,entrepreneur ou comme investissement.Façade de 49,2 X 104,5 de longueur.Terrain déboisé,mis à niveau avec fossé remblayé.À voir ! (42822266)

Résumé de la propriété

Type de propriété
Terrain vacant
Quartier
Lacolle
Superficie du terrain
5154.8 pi2
Sur REALTOR.ca depuis
17 heures

Édifice

Caractéristiques du bâtiment
Caractéristiques
Cul-de-sac, Terrain plat
Services publics
Égouts
Égout municipal
Eau
Approvisionnement en eau par la municipalité
Caractéristiques du quartier
Commodités à proximité
Parc, Écoles

Terrain

Caractéristiques du terrain
Façade
49 pi 2 po
Autres informations sur la propriété
Type de Zonage
Résidentiel
Caractéristiques de la ferme
Type de ferme
Autre
Souhaitez-vous visiter cette propriété?
Demander une visite

Inscriptions semblables

Samuel Sicotte