Nous utilisons des témoins et d’autres technologies pour assurer le fonctionnement et la sécurité de nos services en ligne, et pour vous offrir une expérience personnalisée. En continuant à utiliser nos services en ligne, vous acceptez notre Politique de confidentialité et les conditions d’utilisation. Pour obtenir des informations sur la façon de régler vos paramètres de confidentialité, veuillez consulter notre Politique sur les témoins.
Masquer
Accueil ON Ingersoll
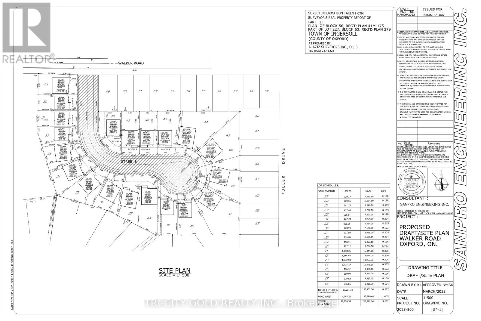
0 WALKER ROAD
Directions Imprimer
Plus de photos + 2
0 WALKER ROAD 3 700 000 $
Depuis 1 journée
3 700 000 $
Masquer
Favoris

0 WALKER ROAD
Ingersoll (Ingersoll - South), Ontario N5C4H3

Numéro MLS® : X12751684

Résumé de la propriété

Type de propriété
Terrain vacant
Superficie du terrain
5.296 a
Impôt foncier annuel
11 500,50 $
Sur REALTOR.ca depuis
1 journée

Édifice

Caractéristiques du bâtiment
Caractéristiques
Terrain irrégulier

Mesures

Superficie
5 a

Terrain

Caractéristiques du terrain
Façade
187 pi
Superficie du terrain
385 pi
Données fournies par : Toronto Regional Real Estate Board
Souhaitez-vous visiter cette propriété?
Demander une visite

Inscriptions semblables

DEEP BASI