Nous utilisons des témoins et d’autres technologies pour assurer le fonctionnement et la sécurité de nos services en ligne, et pour vous offrir une expérience personnalisée. En continuant à utiliser nos services en ligne, vous acceptez notre Politique de confidentialité et les conditions d’utilisation. Pour obtenir des informations sur la façon de régler vos paramètres de confidentialité, veuillez consulter notre Politique sur les témoins.
Masquer
Accueil QC Grand Saguenay Saguenay Chicoutimi
Boul. St-Jean-Baptiste
Directions Imprimer
Plus de photos + 1
Boul. St-Jean-Baptiste 125 000 $
Depuis 4 jours
125 000 $
Masquer
Favoris

Boul. St-Jean-Baptiste
Saguenay (Chicoutimi), Québec G7H7T1

Numéro MLS® : 15418935

Description de l’inscription

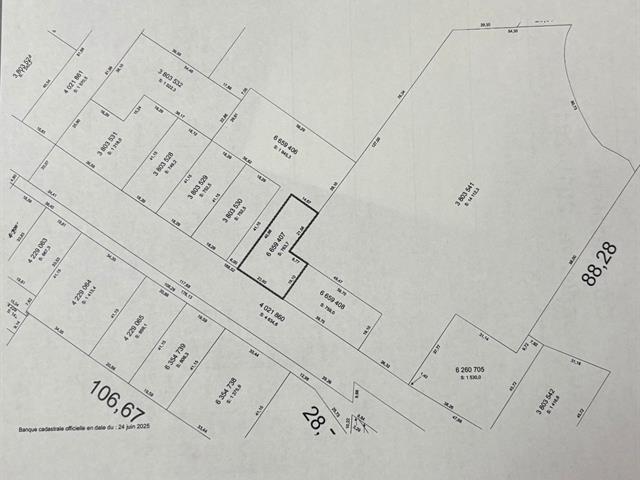
Terrain résidentiel multifamilial -- possibilité de construire un immeuble de 6 logements. Terrain situé à Chicoutimi, idéal pour un projet résidentiel multifamilial. La propriété permet la construction d'un immeuble de 6 logements (à valider selon la réglementation municipale en vigueur). Les services municipaux d'aqueduc et d'égout sont disponibles en façade du terrain. La subdivision vient tout juste d'être complétée. Aucun numéro civique ni évaluation municipale n'est encore attribué. Un plan d'implantation préparé par un arpenteur-géomètre est inclus au dossier. Suite dans addenda. (44725217)

Résumé de la propriété

Type de propriété
Terrain vacant
Quartier
Chicoutimi
Superficie du terrain
763.7 m2
Sur REALTOR.ca depuis
4 jours

Édifice

Services publics
Égouts
Égout municipal
Eau
Approvisionnement en eau par la municipalité
Caractéristiques du quartier
Commodités à proximité
Autoroute, Terrain de golf, Transport en commun

Terrain

Caractéristiques du terrain
Façade
23.6 m
Autres informations sur la propriété
Type de Zonage
Résidentiel
Caractéristiques de la ferme
Type de ferme
Autre
Souhaitez-vous visiter cette propriété?
Demander une visite

Inscriptions semblables

Jean-Philippe Côté