Nous utilisons des témoins et d’autres technologies pour assurer le fonctionnement et la sécurité de nos services en ligne, et pour vous offrir une expérience personnalisée. En continuant à utiliser nos services en ligne, vous acceptez notre Politique de confidentialité et les conditions d’utilisation. Pour obtenir des informations sur la façon de régler vos paramètres de confidentialité, veuillez consulter notre Politique sur les témoins.
Masquer
Accueil QC Memphrémagog Potton
Ch. Racine
Directions Imprimer
Ch. Racine 149 900 $
149 900 $
Masquer
Favoris

Ch. Racine
Potton, Québec J0E1X0

Numéro MLS® : 20379783

Description de l’inscription

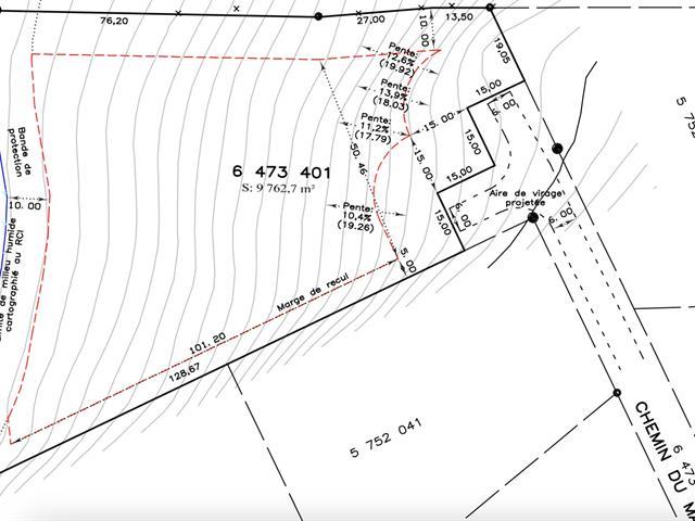
Superbe terrain unifamilial de 125 900 pieds carrés situé à Potton, dans un secteur paisible à proximité des montagnes renommées comme Owl's Head. Entouré de nature et offrant une tranquillité absolue, ce vaste terrain représente l'endroit idéal pour construire un chalet ou une résidence de villégiature et profiter pleinement du calme et du plein air. (49667432)

Résumé de la propriété

Type de propriété
Terrain vacant
Superficie du terrain
125900 pi2
Sur REALTOR.ca depuis
10 jours

Édifice

Caractéristiques du bâtiment
Caractéristiques
Terrain plat
Services publics
Égouts
Pas de réseau d'égouts
Caractéristiques du quartier
Commodités à proximité
Centre de ski

Terrain

Caractéristiques du terrain
Façade
1385 pi 2 po
Vue
Vue ( panoramique )
Autres informations sur la propriété
Type de Zonage
Résidentiel
Caractéristiques de la ferme
Type de ferme
Autre
Souhaitez-vous visiter cette propriété?
Demander une visite

Inscriptions semblables

Yourick Morin