Nous utilisons des témoins et d’autres technologies pour assurer le fonctionnement et la sécurité de nos services en ligne, et pour vous offrir une expérience personnalisée. En continuant à utiliser nos services en ligne, vous acceptez notre Politique de confidentialité et les conditions d’utilisation. Pour obtenir des informations sur la façon de régler vos paramètres de confidentialité, veuillez consulter notre Politique sur les témoins.
Masquer
Accueil ON Grand Toronto Région de Peel Brampton Mount Pleasant Village Fletcher's Meadow
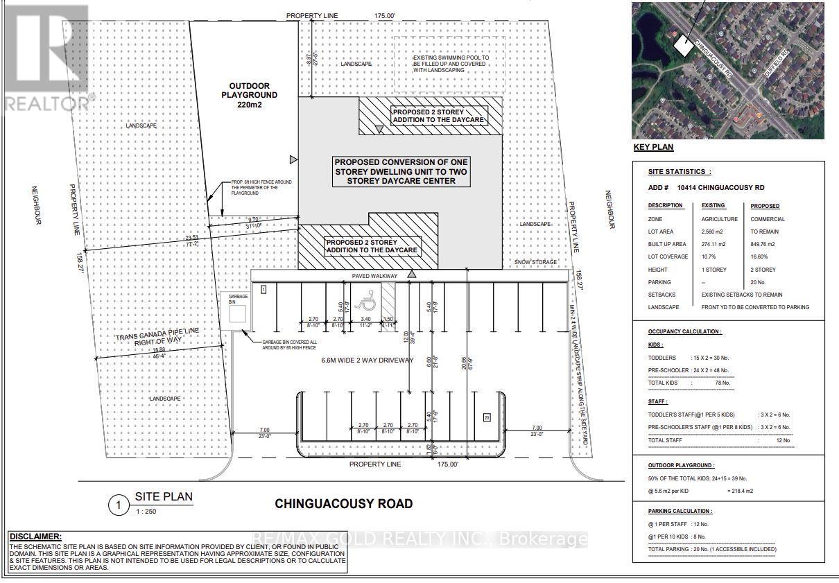
10414 CHINGUACOUSY ROAD
Directions Imprimer
10414 CHINGUACOUSY ROAD 3 000 000 $
3 000 000 $
Masquer
Favoris

10414 CHINGUACOUSY ROAD
Brampton (Fletcher's Meadow), Ontario L7A0G8

Numéro MLS® : W12587754
5 + 1
Chambres
5
Salles de bain
3000 - 3500
Pieds carrés

Résumé de la propriété

Type de propriété
Unifamiliale
Type de bâtiment
Unifamilial
Étages
1
Superficie
3000 - 3500 pi2
Titre
Tenure franche
Superficie du terrain
175.2 x 149.4 FT ; Trans Canada Easement @ South End Of Lot
Impôt foncier annuel
8 209 $
Type de stationnement
Aucun garage
Sur REALTOR.ca depuis
15 jours

Édifice

Chambres
Au-dessus du niveau du sol
5
Au-dessous du niveau du sol
1
Salles de bain
Total
5
Caractéristiques intérieures
Appareils électroménagers inclus
Four encastré
Couvre-plancher
plancher de bois franc, plancher en stratifié, Tuile de porcelaine
Caractéristiques du sous-sol
Entrée distincte
Caractéristiques du bâtiment
Caractéristiques
Sans tapis
Type de fondation
Fondation en béton
Style
Isolée
Style d'architecture
Bungalow surélevé
Chauffage et refroidissement
Système de refroidissement
Climatisation centrale
Type de chauffage
Air pulsé (Gaz naturel)
Services publics
Égouts
Égout sanitaire
Eau
Approvisionnement en eau par la municipalité
Caractéristiques extérieures
Revêtement extérieur
Brique, Bardage en vinyle
Piscine
Piscine creusée
Stationnement
Type de stationnement
Aucun garage
Nombre total d'espaces de stationnement
12

Mesures

Superficie
3000 - 3500 pi2

Pièces

MétriqueImpérial
Sous-sol
Salle familiale
Chambre à coucher
Niveau du sol
Salon
Salle à manger
Salle familiale
Cuisine
Salle de repas
Chambre principale
Deuxième chambre
Troisième chambre
Quatrième chambre
Cinquième chambre

Terrain

Caractéristiques du terrain
Façade
175 pi 2 po
Superficie du terrain
149 pi 4 po
Données fournies par : Toronto Regional Real Estate Board
Souhaitez-vous visiter cette propriété?
Demander une visite

Inscriptions semblables

AMAN SETHI