Nous utilisons des témoins et d’autres technologies pour assurer le fonctionnement et la sécurité de nos services en ligne, et pour vous offrir une expérience personnalisée. En continuant à utiliser nos services en ligne, vous acceptez notre Politique de confidentialité et les conditions d’utilisation. Pour obtenir des informations sur la façon de régler vos paramètres de confidentialité, veuillez consulter notre Politique sur les témoins.
Masquer
Accueil NS Grand Kentville Comté de Kings Kentville
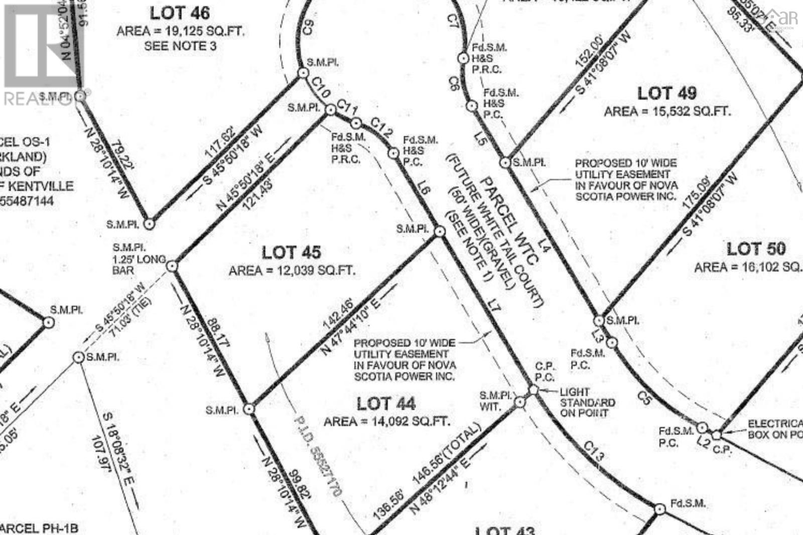
Lot 45 White Tail Court
Directions Imprimer
Lot 45 White Tail Court 129 000 $
Modification du prix le 2026/02/02
129 000 $
+30 000 $
99 000 $
Masquer
Favoris

Lot 45 White Tail Court
Kentville, Nouvelle-Écosse B4N0B7

Numéro MLS® : 202527970

Résumé de la propriété

Type de propriété
Terrain vacant
Titre
Tenure franche
Superficie du terrain
0.2764 a
Type de stationnement
Pas de stationnement
Sur REALTOR.ca depuis
82 jours

Prix et historique

Date Statut Prix vendu
18 juil. 2025 Vente conclue 84 000 $
1 juin 2021 Vente conclue 69 900 $

Édifice

Caractéristiques du bâtiment
Caractéristiques
Terrain plat
Stationnement
Type de stationnement
Pas de stationnement

Terrain

Caractéristiques du terrain
Aliénation des terrains
Déboisé
Données fournies par : Nova Scotia Association of REALTORS®
Souhaitez-vous visiter cette propriété?
Demander une visite

Inscriptions semblables

Brenda K Kielbratowski