Nous utilisons des témoins et d’autres technologies pour assurer le fonctionnement et la sécurité de nos services en ligne, et pour vous offrir une expérience personnalisée. En continuant à utiliser nos services en ligne, vous acceptez notre Politique de confidentialité et les conditions d’utilisation. Pour obtenir des informations sur la façon de régler vos paramètres de confidentialité, veuillez consulter notre Politique sur les témoins.
Masquer
Accueil QC Témiscamingue Saint-Bruno-de-Guigues
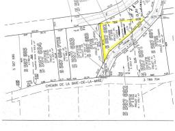
7 Ch. de la Baie-de-la-Mine
Directions Imprimer
7 Ch. de la Baie-de-la-Mine 0,80 $/pieds carrés + TPS + TVQ
0,80 $/pieds carrés + TPS + TVQ
Masquer
Favoris

7 Ch. de la Baie-de-la-Mine
Saint-Bruno-de-Guigues, Québec J0Z2G0

Numéro MLS® : 22454272

Description de l’inscription

Profitez de l'occasion pour vous bâtir votre domaine de rêves! Une vue spectaculaire sur le lac Témiscamingue ainsi qu'un bel environnement vous attends! Aménagez votre terrain selon vos besoins. Informez-vous, il y a un terrain pour vous! TPS/TVQ doivent être ajoutées au prix demandé (51418035)

Résumé de la propriété

Type de propriété
Terrain vacant
Superficie du terrain
Inconnu
Sur REALTOR.ca depuis
120 jours

Édifice

Caractéristiques du bâtiment
Caractéristiques
En pente
Services publics
Égouts
Pas de réseau d'égouts

Terrain

Caractéristiques du terrain
Vue
Vue sur l'eau
Autres informations sur la propriété
Type de Zonage
Résidentiel
Caractéristiques de la ferme
Type de ferme
Autre
Caractéristiques du bord de l'eau
Nom du secteur riverain
Lac Témiscaminge
Souhaitez-vous visiter cette propriété?
Demander une visite

Inscriptions semblables

Suzie Bélanger