Nous utilisons des témoins et d’autres technologies pour assurer le fonctionnement et la sécurité de nos services en ligne, et pour vous offrir une expérience personnalisée. En continuant à utiliser nos services en ligne, vous acceptez notre Politique de confidentialité et les conditions d’utilisation. Pour obtenir des informations sur la façon de régler vos paramètres de confidentialité, veuillez consulter notre Politique sur les témoins.
Masquer
Accueil BC Grand Kelowna Central Okanagan Kelowna North Mission - Crawford
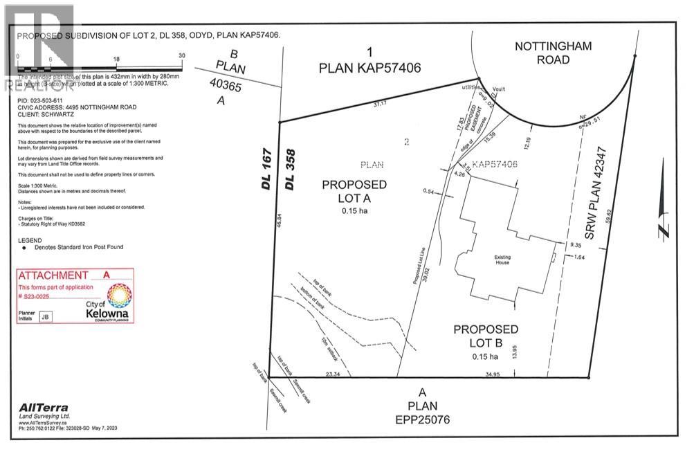
4495 Nottingham Road Lot# 2
Directions Imprimer
4495 Nottingham Road Lot# 2 1 299 000 $
1 299 000 $
Masquer
Favoris

4495 Nottingham Road Lot# 2
Kelowna, Colombie-Britannique V1W1V1

Numéro MLS® : 10363210

Résumé de la propriété

Type de propriété
Terrain vacant
Type de bâtiment
Autre
Titre
Tenure franche
Superficie du terrain
0.37 a|moins de 1 acre
Impôt foncier annuel
0 $
Sur REALTOR.ca depuis
137 jours

Édifice

Services publics
Services publics disponibles
Électricité (Disponible), Gaz naturel (Disponible), Service d'égout (Disponible), Eau (Disponible)
Eau
Approvisionnement en eau par la municipalité

Terrain

Caractéristiques du terrain
Type de route
Route revêtue
Données fournies par : Association of Interior REALTORS®
Souhaitez-vous visiter cette propriété?
Demander une visite

Inscriptions semblables

Blake Hilts