Nous utilisons des témoins et d’autres technologies pour assurer le fonctionnement et la sécurité de nos services en ligne, et pour vous offrir une expérience personnalisée. En continuant à utiliser nos services en ligne, vous acceptez notre Politique de confidentialité et les conditions d’utilisation. Pour obtenir des informations sur la façon de régler vos paramètres de confidentialité, veuillez consulter notre Politique sur les témoins.
Masquer
Accueil QC Le Granit Lac-Mégantic
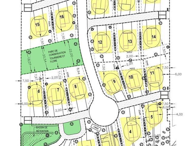
Rue de Cassiopée
Directions Imprimer
Rue de Cassiopée 165 000 $ + TPS + TVQ
165 000 $ + TPS + TVQ
Masquer
Favoris

Rue de Cassiopée
Lac-Mégantic, Québec G6B0K2

Numéro MLS® : 19415240

Description de l’inscription

Profitez d'un accès privilégié au chalet communautaire et au quai, dans un cadre enchanteur en bordure du lac. Un environnement idéal pour se détendre, se divertir et vivre au rythme de la nature. DOMAINE PRIVÉ. Imaginez-vous, chaque matin, savourant votre café en admirant une vue à couper le souffle sur l'eau. Le chant des oiseaux, la brise légère et la sérénité du paysage deviendront votre quotidien. Le terrain vient avec accès au lac incluant chalet et quai communautaire. Ce rêve peut devenir réalité, et il est à votre portée dès maintenant! Ne laissez pas passer cette opportunité unique d'offrir à votre projet un cadre enchanteur. TPS/TVQ doivent être ajoutées au prix demandé (47437755)

Résumé de la propriété

Type de propriété
Terrain vacant
Superficie du terrain
7587 pi2
Sur REALTOR.ca depuis
277 jours

Édifice

Services publics
Égouts
Égout municipal
Eau
Approvisionnement en eau par la municipalité
Caractéristiques du quartier
Commodités à proximité
Terrain de golf, Un hôpital, Parc, Écoles, Centre de ski

Terrain

Autres informations sur la propriété
Type de Zonage
Résidentiel
Caractéristiques de la ferme
Type de ferme
Autre
Souhaitez-vous visiter cette propriété?
Demander une visite

Inscriptions semblables

Ariane Leblanc